
A savoir
L'osier pourpre, avec son écorce des jeunes rameaux et ses bourgeons, offre plusieurs propriétés intéressantes. En effet, ils possèdent des effets fébrifuges, analgésiques, anaphrodisiaques, fongicides et diurétiques. Les chatons de cette plante sont particulièrement bénéfiques pour soulager des douleurs liées à l'arthrite, au rhumatisme et à l'arthrose, ainsi que les douleurs musculaires et articulaires. De plus, cet osier est un excellent draineur.
Bien que comestible, son goût n'est pas très agréable, il peut tout de même être ajouté dans des salades pour un apport nutritionnel. Par ailleurs, le saule pourpre est souvent utilisé en ornementation, pour la fabrication de bois, d'outils et de vannerie, mettant ainsi en valeur sa polyvalence et ses nombreuses applications.
Photos

- © JoJan
- © HermannSchachner
- © HermannSchachner
- © HermannSchachner
- © HermannSchachner
- © HermannSchachner
- © MurielBendel
- © MurielBendel
- © Иван Матершев
- © Christian Berg
- © Willow
- © Niknos
- © MurielBendel
- © Chrizz~commonswiki
- © Topjabot
- © Dcoetzee
- © Dcoetzee
- © Biodiversity Heritage Library
- © Biodiversity Heritage Library
- © Biodiversity Heritage Library
- © Biodiversity Heritage Library
- © Biodiversity Heritage Library
- © Biodiversity Heritage Library
- © Andreas Rockstein
- © Andreas Rockstein
- © Andreas Rockstein
- © Biodiversity Heritage Library
- © Robbie Koller
- © Joe Potter Butler
- © Noel
- © Davide Puddu
Liens Ressources
- Wikipediaencyclopédie
- Pl@nteNetapplication plantesTela BotanicaBotaniqueiNaturalistObservationsGBIFinventaire de biodiversitéQwantMoteur de rechercheEcosiaMoteur de rechercheINPNInventaire National du Patrimoine NaturelInfofloraInventaire National du Patrimoine NaturelPictofloraBotaniqueWikiMediaPhotos / VideosAller en hautKewBotaniqueWikispeciesencyclopédieINPN Rhone-AlpesBiodiversitéFlickRPhotosAu JardinJardinnagePictureThisIdentificationOpenversePhotosPréférences écologiques

L'Osier pourpre préfère les berges sablo-graveleuses des rivières ainsi que les milieux humides, tels que les forêts riveraines et les roselières. Il se développe mieux dans des conditions de forte lumière, pouvant supporter une exposition directe. Ce végétal aime les températures fraîches, typiques des régions humides et froides de l'hémisphère nord. Il pousse sur des sols fins, souvent pauvres en matière organique, mais qui contiennent des nutriments suffisants pour sa croissance. L'humidité du sol est importante pour lui, car il peut se trouver dans des zones souvent inondées, et il préfère des sols légèrement basiques.
Facteurs climatiquesLuminositéTempératureHumiditéContinentalitéPropriétés du solpHHumiditéTextureNutrimentsMatière organiqueSource : Julve, Ph., 2021 ff. - Baseflor. Index botanique, écologique et chorologique de la flore de France. Version : 27 avril 2021IllustrationsCopyright ?
Description scientifique
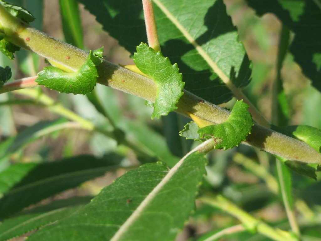
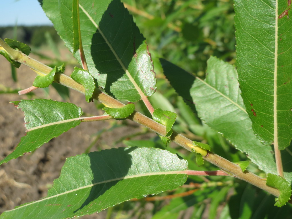
3303 Salix purpurea L. Osier rouge - Arbrisseau de 1-4 mètres, à jeunes rameaux et bourgeons lisses et luisants - feuilles subsessiles, souvent opposées, obovales-lancéolées, aiguës, élargies et denticulées dans le haut, glabres, glauques en dessous - chatons précoces, souvent opposés, étalés ou arqués-réfléchis, cylindriques, denses, sessiles, à écailles velues, brunâtres - 2 étamines entièrement soudées en une seule dont l'anthère pourpre est à 4 loges - style très court - capsule tomenteuse, ovoïde-obtuse, sessile, à glande dépassant sa base.
Source : Flore descriptive et illustrée de la France, de la Corse, et des contrées limitrophes par Hippolyte Coste (1858-1924) ; Projet de numérisation de la flore de L'Abbé Coste par le réseau Tela botanica - 2011Reproduction
InflorescenceÉpi simpleType de fruitCapsuleCouleur de la fleurMarronType de sexualitéDioïquePollinisationAnémogameDisséminationAnémochoreSource : Julve, Ph., 2021 ff. - Baseflor. Index botanique, écologique et chorologique de la flore de France. Version : 27 avril 2021Arbuste haut de 1-4(-6) m. Rameaux grêles, souvent pourpres, glabres. Sans stipules. Feuilles étroitement lancéolées, longues de 4-12 cm, 3-10 fois plus longues que larges, glabres sur les 2 faces, vert foncé mat dessus, glauques dessous ; bord denticulé dans les 2/3 sup. Floraison précédant la feuillaison. Feuilles et chatons gén.opposés. Anthères et stigmates pourpres au début de la floraison. Filets glabres, entièrement soudés, anthère apparemment à 4 loges. Chatons longs de 1,2-4 cm. Capsules longues de 2-3 mm, ovoïdes, subsessiles, pubescentes.Source : Flora Helvetica 2018Répartition
Légendenon renseignéeprésenceprésence à confimerdouteuxdisparuerreurerreur à confirmerSource :
Julve, Ph. (coordonnateur) & contributeurs, 2018 ff. chorodep. Listes départementales des plantes de France. Version 2018.04 du 24 avril 2018. Programme chorologie départementale de Tela BotanicaD'autres cartes de répartition géographiques...
Observations autour du lieuChargement des observations...Classification
Taxonomie
Embranchement : TracheophytaClasse : MagnoliopsidaOrdre : MalpighialesFamille : SalicaceaeGenre : SalixNom scientifique : Salix purpurea L.Statut du nom : AcceptedPublication : Sp. Pl.: 1017 (1753)Source : GBIF: The Global Biodiversity Information Facility (2024) - https://www.gbif.org/ [28 mai 2024].Nom valide
Salix purpurea L.Synonymes
- Salix caesifolia Drobow
- Salix carniolica Host
- Salix lambertiana Sm.
- Salix monandra Ard.
- Salix monandra var. sericea Ser.
- Salix mutabilis Host
- Salix oppositifolia Host
- Salix × pontederana Schleich.
- Salix purpurea f. eriantha Wimm.
- Salix purpurea f. furcata Wimm.
- Salix purpurea f. sericea (Ser.) Wimm.
- Salix purpurea f. styligera Wimm.
- Salix tenuis Tausch
Légende- Rouge : Genre
- Jaune : Espèce
- Orange : Auteur
- Bleu : Type de subdivision
- Vert : Nom de la subdivision (sous espèce, variété, hybride)
Source : The Plant List (2013). Version 1.1. Publié sur Internet; http://www.theplantlist.org/Bibliographie
- Flore descriptive et illustrée de la France, de la Corse, et des contrées limitrophes par Hippolyte Coste (1858-1924) ; Projet de numérisation de la flore de L'Abbé Coste par le réseau Tela botanica - 2011
- Lauber K., Wagner G., Gygax A. - Flora Helvetica. Version 2018 (5ème édition) - infoflora.ch
- Julve, Ph., 2021 ff. - Baseflor. Index botanique, écologique et chorologique de la flore de France. Version : 27 avril 2021
- Julve, Ph. (coordonnateur) & contributeurs, 2018 ff. chorodep. Listes départementales des plantes de France. Version 2018.04 du 24 avril 2018. Programme chorologie départementale de Tela Botanica
- The Plant List (2013). Version 1.1. Publié sur Internet; http://www.theplantlist.org/
- GBIF.org (2024) accessible à l'URL : https://www.gbif.org [05 mai 2024].
- Fiche Wikipedia de l'espèce : https://fr.wikipedia.org/wiki/Salix_purpurea
- Fiche WikiSpecies : https://species.wikimedia.org/wiki/Salix_purpurea
- Photos et illustration : Toutes les photos sont sous license Créative Commons. Les crédits (auteur / type de license / année / url source) sont indiqués sur chaque image dans cette page.
Les photos sont issues des plateformes : Wikimedia.org / Flickr.com / inaturalist.org / gbif.org / bioportal.naturalis.nl - Les données taxonomiques relatives à l'espèce ainsi que les données scientifiques associées sont issues de la compilation de différentes sources : Tela-Botanica / Inpn / Gbif / PlanteNet / Trefle.io / ThePlantList.org
- Référentiel des trachéophytes de France métropolitaine et régions avoisinantes, Benoît Bock & al., version 8.00 du « 26 octobre 2021 ».
- Données personnelles - B. Oddos Giamarchi (BOG), 2000- 2024, Parlons Plantes : Sorties Botaniques en Ardèche

























