© AnRo0002
Plantes
Nom latin : Reynoutria japonica
Famille : Polygonacées
Nom(s)Renouée du japon
Renouée à feuilles pointues
Autres langues : Japanese knotweed (anglais)
Anglais Mexican Bamboo
Italien Poligono del Giappone
Hollandais Japanse Duizenknoop
Allemand Japanischer Staudenknöterich, Spieß-Knöterich, Spitzblättriger Knöterich

et aussi en...
  • Basque (Pays Basque) Japoniar piper-belar
  • Bulgare (Bulgarie) Японска фалопия
  • Chypriote (Chypre) Canclwm Japan
  • Coréen (Corée du Sud) Hoganggeun
  • Croate (Croatie) Japanski dvornik
  • Danois (Danemark) Japanpileurt
  • Espéranto Japana falopio
  • Ethiopien (Ethiopie) Vooljas pargitatar
  • Finlandais (Finlande) Japanintatar
  • Hongrois (Hongrie) Ártéri japánkeserűfű
  • Iranien (Iran) فالوپیا جاپنیکا
  • Letton (Lettonie) Japānas dižsūrene
  • Lituanien (Lituanie) Japoninis pelėvirkštis
  • Mandarin (Chine) Hu zhang
  • Polonais (Pologne) Rdestowiec ostrokończysty
  • Salvadorien (Salvador) Rosenslide
  • Slovaque (Slovaquie) Pohánkovec japonský
  • Suèdois (Suède) japanintatar
  • Tchèque (Tchéquie) Křídlatka japonská
Acidité du sol (pH)
Sols neutres (pH 5,5 à 6,5)

A savoir

Découverte en 1847 par la société d'agriculture et d'horticulture d'Utrecht, la Renouée du Japon fut alors saluée pour la beauté de son feuillage et ses inflorescences parfumées. Cependant, cette plante, autrefois appréciée, est désormais perçue comme une espèce envahissante à éradiquer. Des recherches menées en Grande-Bretagne ont révélé que toutes les Renouées étudiées appartenaient à un seul clone, qui s'est principalement propagé par voie végétative, sans reproduction sexuée. Ce phénomène en fait probablement l'un des plus grands clones végétaux au monde.

Le succès de la Renouée du Japon s'explique par plusieurs facteurs. Son rhizome lui permet d'envahir rapidement les milieux, tandis que des composés toxiques qu'elle libère dans le sol entravent la croissance des autres plantes. Par ailleurs, la polyploïdie joue un rôle essentiel dans son adaptation : avec un nombre de chromosomes allant jusqu'à 88 en Europe, elle bénéficie d'une taille exceptionnelle et d'une diversité génétique accrue. Ces caractéristiques, couplées à des conditions de vie favorables, ont freiné la concurrence, permettant à cette espèce de prospérer au-delà de ses origines japonaises.

Photos

Copyright ?

Propriétés médicinales

Principales propriétés :
  • analgésique
  • diurétique
  • expectorante
  • fébrifuge

Actions connues :
  • athérosclérose
  • bronchites
  • brûlure
  • cancer
  • diarrhée
  • hypertension
  • hépatite
  • leucorrhée
  • morsure de serpents

  • Les jeunes feuilles malaxées sur des éraflures qui saignent stoppent l'hémorragie (propriété astringente) et calment la douleur.

En cuisine...

  • Les jeunes pousses sont consommées crues ou cuites. Au printemps, les jeunes pousses, semblables à celles du bambou, sont cueillies avant que la tige et les feuilles ne se séparent. On enlève l'écorce et on les mange crues. Les enfants les ramassent sur les bords des chemins et les mâchent en marchant. Elles ont un goût acide en raison de la présence d'acides organiques et en particulier d'acide oxalique qui leur donne une certaine âpreté. Leur consommation en trop grande quantité à l'état naturel peut avoir des effets néfastes sur la santé. Un usage mieux approprié consiste à les faire bouillir puis à les passer à l'eau froide. Elles perdent ainsi leur âpreté mais aussi leur saveur agréablement acidulée.

Liens Ressources

Vidéos

Préférences écologiques

La Renouée du Japon se développe dans divers milieux, de la campagne à la ville, le long des fleuves et des routes. Elle préfère une forte luminosité et s'épanouit dans des zones bien éclairées. En matière de température, elle est adaptée à des conditions relativement chaudes, se trouvant notamment dans des environnements thermo-atlantiques et méditerranéens. Cette plante apprécie les sols riches en matières organiques et en nutriments, avec une texture intermédiaire entre argile et limon. Son humidité atmosphérique est modérée, et elle montre une préférence pour des sols qui ne sont ni trop secs ni trop humides, ce qui lui permet de prospérer dans une certaine diversité d'écosystèmes.

Facteurs climatiques
Luminosité
Température
Humidité
Continentalité
Propriétés du sol
pH
Humidité
Texture
Nutriments
Matière organique
Source : Julve, Ph., 2021 ff. - Baseflor. Index botanique, écologique et chorologique de la flore de France. Version : 27 avril 2021

Description scientifique

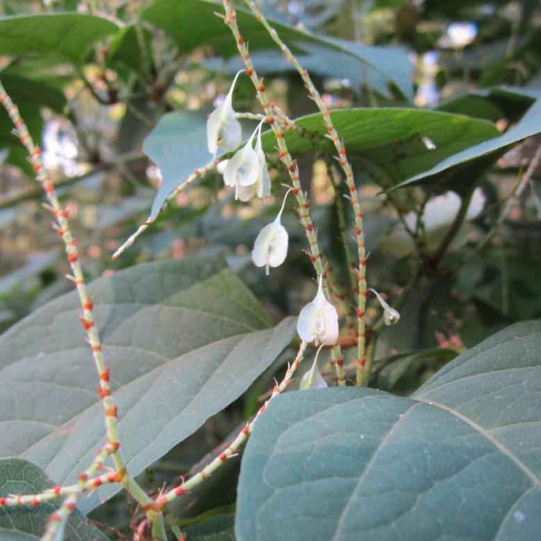
Tige souvent tachée de rouge foncé. Feuilles lentement flétrissant, arrondies ou tronquées à la base, longues de 7-20 cm, glabres ou papilleuses sur les nervures dessous. Nervure principale anguleuse dessous. Fleurs en grappes dressées.
Source : Flora Helvetica 2018

Répartition

Carte en cours d'élaboration pour Reynoutria japonica Houtt., Reynoutria japonica Houtt. image/svg+xml image/svg+xml Corse-du-Sud (2A) Haute-Corse (2B) Corse (20 [2A+2B]) Tarn-et-Garonne (82) Vendee (85) Morbihan (56) Mayenne (53) Loir-et-Cher (41) Cote-d'Or (21) Haute-Loire (43) Rhone (69) Calvados (14) Jura (39) Aube (10) Meuse (55) Allier (03) Val-de-Marne (94) Var (83) Alpes-Maritimes (06) Hautes-Alpes (05) Lozere (48) Cantal (15) Pyrenees-Atlantiques (64) Aveyron (12) Bouches-du-Rhone (13) Vaucluse (84) Alpes-de-Haute-Provence (04) Gard (30) Aude (11) Herault (34) Pyrenees-Orientales (66) Puy-de-Dome (63) Hautes-Pyrenees (65) Landes (40) Gironde (33) Dordogne (24) Lot-et-Garonne (47) Lot (46) Ariege (09) Gers (32) Haute-Garonne (31) Tarn (81) Isere (38) Ardeche (07) Drome (26) Correze (19) Creuse (23) Haute-Vienne (87) Charente (16) Deux-Sevres (79) Cotes-d'Armor (22) Finistere (29) Ille-et-Villaine (35) Loire-Atlantique (44) Haute-Saone (70) Seine-Maritime (76) Eure (27) Indre-et-Loire (37) Cher (18) Nievre (58) Saone-et-Loire (71) Oise (60) Pas-de-Calais (62) Nord (59) Aisne (02) Somme (80) Meurthe-et-Moselle (54) Seine-et-Marne (77) Essonne (91) Val-d'Oise (95) Seine-Saint-Denis (93) Paris (75) Doubs (25) Territoire de Belfort (90) Ain (01) Haute-Savoie (74) Loire (42) Savoie (73) Charente-Maritime (17) Vienne (86) Manche (50) Maine-et-Loire (49) Sarthe (72) Orne (61) Eure-et-Loir (28) Yonne (89) Loiret (45) Indre (36) Marne (51) Ardennes (08) Haute-Marne (52) Bas-Rhin (67) Haut-Rhin (68) Moselle (57) Vosges (88) Yvelines (78) Hauts-de-Seine (92) Guadeloupe Martinique Guyane La Réunion Mayotte La Reunion (974) Guadeloupe (971) Martinique (972) Guyane (973) Île-de-France Val-de-Marne (94) Seine-Saint-Denis Paris (75) Hauts-de-Seine (92) Reynoutria japonica Houtt., Reynoutria japonica Houtt. Carte en cours d'élaboration.
Légende
non renseignée
présence
présence à confimer
douteux
disparu
erreur
erreur à confirmer
Source :
Julve, Ph. (coordonnateur) & contributeurs, 2018 ff. chorodep. Listes départementales des plantes de France. Version 2018.04 du 24 avril 2018. Programme chorologie départementale de Tela Botanica

D'autres cartes de répartition géographiques...

Observations autour du lieu

Chargement des observations...

Classification

Taxonomie

Embranchement : Tracheophyta
Classe : Magnoliopsida
Ordre : Caryophyllales
Famille : Polygonaceae
Genre : Reynoutria
Nom scientifique : Reynoutria japonica Houtt.
Statut du nom : Accepted
Publication : Houtt. (1777). In: Nat. Hist. 8: 640.
Source : GBIF: The Global Biodiversity Information Facility (2024) - https://www.gbif.org/ [28 mai 2024].

Nom valide

Reynoutria japonica Houtt.

Synonymes

  • Fallopia compacta (Hook.f.) G.H.Loos & P.Keil
  • Fallopia japonica (Houtt.) Ronse Decr.
  • Fallopia japonica f. colorans (Makino) Yonek.
  • Fallopia japonica var. compacta (Hook.f.) J.P.Bailey
  • Fallopia japonica var. compacta J. Bailey
  • Fallopia japonica var. hachidyoensis (Makino) Yonek. & H.Ohashi
  • Fallopia japonica var. uzenensis (Honda) Yonek. & H.Ohashi
  • Pleuropterus cuspidatus (Siebold & Zucc.) H.Gross
  • Pleuropterus zuccarinii (Small) Small
  • Polygonum compactum Hook.f.
  • Polygonum cuspidatum Siebold & Zucc.
  • Polygonum cuspidatum var. spectabile Noter
  • Polygonum hachidyoense Makino
  • Polygonum reynoutria Makino
  • Polygonum reynoutria f. colorans Makino
  • Polygonum sieboldii de Vriese ex L.H.Bailey
  • Polygonum zuccarinii Small
  • Reynoutria compacta (Hook.f.) Nakai
  • Reynoutria hachidyoensis (Makino) Nakai
  • Reynoutria hachidyoensis var. terminalis Honda
  • Reynoutria hachijoensis Nakai ex Jotani
  • Reynoutria hastata Nakai ex Ui
  • Reynoutria henryi Nakai
  • Reynoutria japonica var. compacta (Hook.f.) Moldenke
  • Reynoutria japonica var. hastata (Nakai ex Ui) Honda
  • Reynoutria japonica var. spectabilis (Noter) Moldenke
  • Reynoutria japonica var. terminalis (Honda) Kitag.
  • Reynoutria japonica var. uzenensis Honda
  • Reynoutria uzenensis (Honda) Honda
  • Tiniaria japonica (Houtt.) Hedberg
Légende
  • Rouge : Genre
  • Jaune : Espèce
  • Orange : Auteur
  • Bleu : Type de subdivision
  • Vert : Nom de la subdivision (sous espèce, variété, hybride)
Source : The Plant List (2013). Version 1.1. Publié sur Internet; http://www.theplantlist.org/

Bibliographie

  • Référentiel des trachéophytes de France métropolitaine et régions avoisinantes, Benoît Bock & al., version 8.00 du « 26 octobre 2021 ».
  • Données personnelles - B. Oddos Giamarchi (BOG), 2000- 2024, Parlons Plantes : Sorties Botaniques en Ardèche